Consumo recorde de combustíveis fósseis em 2024 acende alerta global para caos climático

Um novo relatório publicado na revista BioScience por um grupo internacional de cientistas indica que a humanidade entrou em uma rota que pode levar a um caos climático sem precedentes. O documento destaca que, em 2024, o consumo global de petróleo, gás e carvão alcançou níveis históricos, impulsionando emissões de gases de efeito estufa a patamares jamais registrados. Segundo os especialistas, esse movimento amplia a frequência, a intensidade e o alcance de fenômenos extremos como ondas de calor, tempestades, inundações e incêndios florestais, tornando os riscos à vida humana e aos ecossistemas cada vez mais agudos.
- Quem alerta e onde a informação foi divulgada
- O que motivou o sinal de alerta
- Como o consumo recorde impacta os sinais vitais do planeta
- Eventos extremos já observados em 2024
- Emissões de CO₂ em patamar histórico
- Sinais de avanço na transição energética
- Riscos de cruzar pontos de inflexão climática
- Medidas recomendadas pelos cientistas
- Desafios políticos e desigualdade de responsabilidades
- Benefícios de uma reorientação rápida
Quem alerta e onde a informação foi divulgada
O aviso parte de um coletivo de pesquisadores descrito no estudo como formado por cientistas líderes em clima, ecologia e sistemas da Terra. O trabalho foi veiculado pela revista BioScience, periódico que reúne análises revisadas por pares e reconhecido entre a comunidade científica internacional. Ao sintetizar múltiplos indicadores ambientais, o grupo busca oferecer um panorama abrangente e atualizado dos desafios climáticos enfrentados pelo planeta em 2024.
O que motivou o sinal de alerta
A preocupação central está no aumento de 1,5% no uso total de combustíveis fósseis em comparação com o ano anterior, conforme dados compilados pelo Energy Institute e citados no relatório. A expansão abrange os três principais vetores energéticos de origem fóssil — petróleo, gás natural e carvão —, todos responsáveis por grandes volumes de dióxido de carbono (CO₂) e outros gases de efeito estufa quando queimados. De acordo com os cientistas, esse avanço contraria a tendência necessária de redução rápida das emissões para limitar o aquecimento global.
Como o consumo recorde impacta os sinais vitais do planeta
Os pesquisadores descrevem indicadores ambientais, denominados “sinais vitais”, que refletem diretamente a resposta física da Terra ao aquecimento. Entre eles, o aumento sem precedentes da temperatura média dos oceanos é citado como um dos mais alarmantes. O calor acumulado nas águas favorece a formação de ciclones mais intensos e acelera a perda de oxigênio marinho, afetando cardumes, recifes e cadeias alimentares inteiras.
Outro ponto em destaque é o degelo acelerado de camadas de gelo em regiões polares e de alta montanha. A retração do gelo contribui para o aumento do nível do mar e ameaça comunidades costeiras. O relatório menciona, ainda, a perda crescente de florestas em incêndios de grande escala, fenômeno que compromete a biodiversidade, reduz a capacidade de sequestro de carbono e intensifica o ciclo de aquecimento.
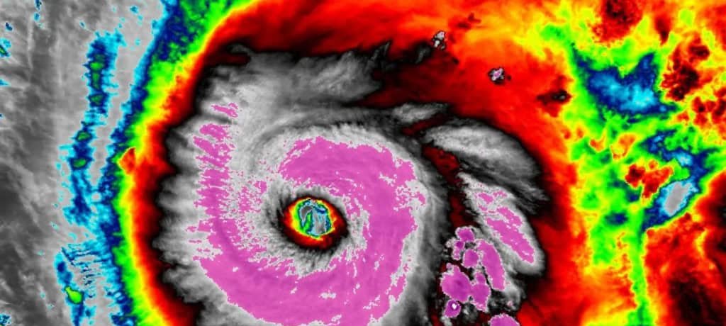
Eventos extremos já observados em 2024
O documento apresenta exemplos concretos de como o clima alterado se manifesta em desastres reais. Entre eles, o furacão Melissa surge como ilustração de um sistema ciclônico de intensidade elevada que afetou vidas e infraestrutura, servindo de evidência para a correlação entre oceanos mais quentes e tempestades potencialmente mais destrutivas. Ao lado desse episódio, os pesquisadores citam ondas de calor prolongadas, tempestades intensas e inundações repentinas que excedem a capacidade de adaptação de diversas regiões.
Emissões de CO₂ em patamar histórico
O aumento do consumo de combustíveis fósseis elevou as emissões de dióxido de carbono relacionadas à energia a um novo recorde. Para os autores, o dado demonstra um descompasso perigoso entre a prática energética global e as metas climáticas internacionalmente reconhecidas. Limitar a elevação da temperatura média global requer cortes consistentes e rápidos nas emissões; porém, as estatísticas de 2024 apontam trajetória oposta.
Sinais de avanço na transição energética
Apesar do cenário global desfavorável, o relatório identifica exemplos regionais de progresso. Durante o primeiro semestre de 2024, a China registrou retração no consumo de combustíveis fósseis, movimento atribuído a investimentos em energia renovável e eficiência. Em outra frente, a Califórnia alcançou a marca de dois terços de sua eletricidade proveniente de fontes limpas em 2023, superando a média mundial.
Os pesquisadores ressaltam, contudo, que a soma desses avanços ainda não compensa o aumento agregado das emissões. A leitura do grupo é de que esforços isolados, embora importantes, precisam ser ampliados globalmente e integrados a políticas consistentes de redução de carbono.
Riscos de cruzar pontos de inflexão climática
O relatório enfatiza que cada fração de grau adicional de aquecimento amplia a probabilidade de ultrapassar pontos de inflexão — limiares a partir dos quais processos naturais mudam de forma abrupta e irreversível. Entre os exemplos citados estão o colapso de grandes geleiras, o degelo acelerado do permafrost e a perda maciça de florestas tropicais. Superar esses pontos aumentaria emissões naturais de carbono e reduziria drasticamente a capacidade do planeta de amortecer novos impactos.
Medidas recomendadas pelos cientistas
Para evitar cenários mais severos, o grupo propõe mudanças urgentes em diversos setores. A substituição de fontes fósseis por eletricidade limpa figura como prioridade, acompanhada por transporte sustentável que privilegie modais de baixa emissão. Os especialistas incluem, ainda, a redução da criação de gado como forma de diminuir metano e liberar terras para restauração de ecossistemas.
Segundo o relatório, cada ação que limite o aquecimento diminui riscos de eventos extremos, reduz custos futuros e traz benefícios imediatos à saúde pública e à biodiversidade.
Desafios políticos e desigualdade de responsabilidades
Os autores observam que algumas políticas continuam incentivando a produção de combustíveis fósseis, retardando a transição energética. Como exemplo, são citadas medidas adotadas em administrações que apoiam a expansão de petróleo, gás e carvão, caso de iniciativas implementadas durante o governo do presidente Donald Trump. Esse tipo de ação, afirmam, contraria a urgência apontada pela comunidade científica.
O relatório destaca, ainda, que grande parcela das emissões desde 1990 está associada ao consumo dos 10% mais ricos da população mundial. Para os pesquisadores, esse dado reforça a necessidade de responsabilidades diferenciadas e de engajamento maior por parte de países e grupos sociais com maior capacidade econômica.
Benefícios de uma reorientação rápida
Ao concluir a análise, os cientistas sublinham que a transição energética acelerada pode gerar vantagens econômicas e ambientais. Investimentos em fontes renováveis tendem a ser menos onerosos do que os gastos associados a reconstrução de infraestrutura após desastres climáticos, tratamento de doenças agravadas pelo calor ou perda de produtividade agrícola. O relatório argumenta que os custos da inação superam os custos da ação, indicando que a mudança de rota não é apenas ambientalmente necessária, mas financeiramente racional.
Diante dos dados compilados, a mensagem central do estudo é clara: ainda existe tempo para mitigar os danos, mas a janela de oportunidade está se fechando rapidamente. A continuidade do aumento de combustíveis fósseis em 2024 serve como sinal de alerta de que decisões coletivas e coordenadas precisam ser tomadas em escala global para evitar impactos climáticos potencialmente irreversíveis.
Deixe um comentário
Você precisa fazer o login para publicar um comentário.

Conteúdo Relacionado